From national retailers to downtown redevelopment, Brookings has ‘seen a switch turn on’
May 29, 2023
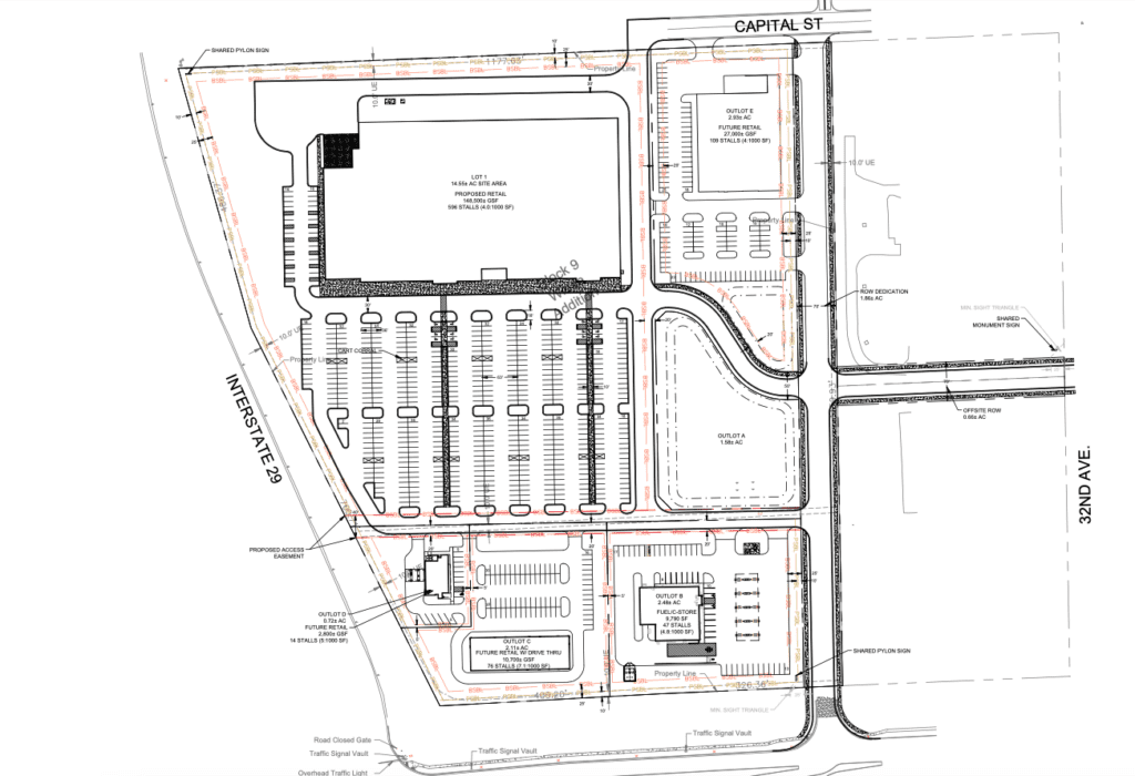
The fact that Minneapolis-based Ryan Cos. is working on a national redevelopment there is as good a symbol as any that Brookings appears to be entering a new stage of growth.
The Twin Cities company is developing a city-acquired 18-acre parcel on the northeast side of the Sixth Street and Interstate 29 interchange.
After years of trying to find the right development partner for the site, “we’re cautiously optimistic that the anchor tenant will be willing to make an announcement in the June-July time frame,” said Mike Struck, the city’s community development director.
“It will be a welcome addition to the community if we’re able to get the project to the finish line.”
The most logical fit for the property would be a big-box national retailer – with whom developers such as Ryan have long-standing relationships – though a company representative said no additional information was available at this point.
Such a deal would build on other retail momentum in the community. T.J. Maxx opened in March in the former JCPenney space.
“T.J. Maxx was really, really great for our community and a credit to the developers,” Struck said. “It’s really one of the very few places in Brookings that you can buy clothing besides Walmart.”
But with its reliable collegiate population, a growing base of residents and a new I-29 interchange opening at 20th Street this summer, “there’s going to be commercial opportunities,” he said.
Sioux Falls-based brokers agree.
“Brookings is quickly becoming or going to become the third-largest city in the state. If they haven’t yet, they will be soon,” said Reggie Kuipers, president of Bender Commercial Real Estate Services. “And then, you’ve got this hidden city with 12,000 or 14,000 extra (people) in there nine months out of the year. Brookings is a unique market.”
For the right retailer, it also is a strong one, said Raquel Blount, Lloyd Cos. vice president of commercial real estate, who put together the deal to bring the community’s first stand-alone Starbucks to town last year.
“The sales are phenomenal. They do extremely well, which isn’t surprising,” she said. “I think there’s a lot of demand. A lot of retailers want to be there. The problem is nothing is ever available.”
That could change with the new interchange, though “it’s pretty far south from the activity … but I see things will expand in that direction,” Blount said. “You’ve got Hy-Vee down there, you’ve got 3M, you’ve got a pretty good concentration of housing.”
Kuipers predicts the area “is going to become a little hotbed for retail development and working its way to the west,” he said. “In Brookings, the residential growth is to the south, the park system is on the south, and you add that interchange, and you’re going to add more commercial activity down here and the ease of getting around the city.”
He has a property listed on Sixth Street, the city’s main commercial corridor, that could bring up to 14,000 square feet of office and retail space.
“We’ve had a fair amount of activity with some national groups,” he said. “We’ve been a little delayed due to the activities in operating stores in Sioux Falls. When you expand the units, they’ll open their second store in Sioux Falls before they’ll open their first in Brookings. It makes sense. But we’ve had a decent amount of interest.”
Downtown spark
The downtown also could see enhanced activity in the form of a project to transform the vacant former armory.
The city initially thought about tearing it down but then sought proposals to redo the building and selected Linchpin, a local development corporation focused on smaller communities.
“The concept was really about trying to bring additional folks downtown by bringing hospitality down there and trying to energize what’s going on through that commercial corridor,” co-owner Clint Powell said. “Really geared around saving that historic structure.”
Linchpin worked with hospitality partner IGH to bring its Hotel Indigo brand to the property, calling it Hotel Indigo at the Armory.
It will be a 74-bed hotel with convention space and a full bar and restaurant. A Fargo-based operator will oversee food and beverage services.
“It’ll be a speakeasy-type bar and restaurant on the lower level of the armory; that’s a garden-view level, so it’s half-exposed,” Powell said.
It’s called Foxtrot as “everything is branded back toward that Army-military perspective,” he said.
There’s also a 400-person ballroom, a couple of hospitality suites and a four-floor bar. The hope is to start construction this summer and open late next summer.
“You’ve definitely seen a switch turn on in Brookings,” Powell said. “When you look at projected construction activity in the city of Brookings over the next 12 to 18 months compared to what we’ve seen in the past, we’re probably seeing double the amount of annual construction than Brookings is used to that will happen in the next 12 months. They’re definitely seeing a growth spurt. You see it in commercial and in housing.”
Downtown in general has seen some niche retail and specialty shops, plus restaurants and bars, but “with the armory project, if we’re able to get that finished and be successful, I think that will help draw more interest in downtown and give a little spark,” Struck said.
The community’s population is a bit hard to gauge, especially because the 2020 U.S. Census occurred during the pandemic-driven drop in college residents, Struck said.
He’s more apt to look at housing permits, which totaled about 75 new single-family homes in 2022 and more than 200 multifamily units.
“Developers have been trying to respond to the housing needs, so we’re seeing a lot more twin homes, three- or four-unit single-family attached, some rentals, some small multifamily projects where there might be eight to 10 units, so building activity is still strong, and I think retail has a tendency to follow,” Struck said.
The community is somewhat landlocked, he said. There’s flood plain to the east and west, so “we’re putting greater emphasis on increasing density and building up versus out,” Struck said. “I would expect you’ll see more redevelopment within the community where you look at neighborhoods where the housing stock is getting to the age where it’s a challenge to rehab it.”















